تشير التوقعات إلى أن إعصار “ميليسا” قد يكون الأعنف منذ أكثر من 170 عامًا، ما يثير مخاوف من تكرار مشاهد الدمار التي خلّفها إعصار “غيلبرت” عام 1988.
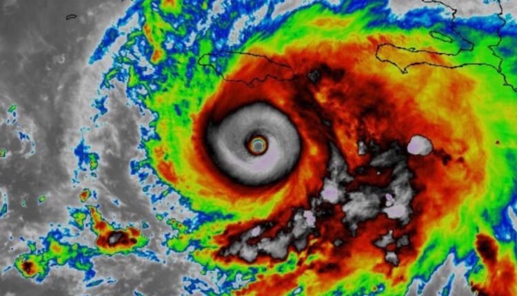
أصدرت وزارة الدفاع الأمريكية لقطات جوية تُظهر المشاهد من داخل إعصار “ميليسا”، الذي تصفه الأرصاد الجوية بأنه أحد أقوى الأعاصير التي تشهدها منطقة الكاريبي منذ بدء تسجيل البيانات عام 1851.
وقالت الوزارة إن طاقمًا من قوات الاحتياط التابعة لسلاح الجو الأمريكي من السرب الثالث والخمسين للاستطلاع الجوي للطقس، المعروف باسم “صائدو الأعاصير”، نفذ عدة طلعات جوية عبر الإعصار يوم الاثنين، بهدف جمع بيانات دقيقة للمركز الوطني للأعاصير في الولايات المتحدة.
وبحسب المركز، فقد اشتد إعصار “ميليسا” ليبلغ الفئة الخامسة مع اقترابه من سواحل جامايكا، حاملاً معه رياحًا عاتية وأمطارًا غزيرة تهدد بتسبب فيضانات كارثية وانهيارات أرضية وأضرار واسعة النطاق في الجزيرة.
ويُتوقّع أن يضرب الإعصار اليابسة في جامايكا يوم الثلاثاء، قبل أن يتجه إلى كوبا ثم إلى جزر البهاما.
وأكدت السلطات المحلية في جامايكا حالة التأهب القصوى، وسط دعوات للسكان في المناطق الساحلية بالابتعاد عن الشواطئ والإخلاء نحو مناطق أكثر أمانًا.
وأفادت التقارير بأن “ميليسا” خلّف بالفعل سبع ضحايا في مناطق من شمال الكاريبي، مع تسجيل دمار كبير في بعض الجزر الصغيرة الواقعة في مساره.
وتشير التوقعات إلى أن “ميليسا” قد يكون أقوى إعصار يضرب جامايكا منذ أكثر من 170 عامًا، ما يثير مخاوف من تكرار سيناريوهات دمار شبيهة بتلك التي خلّفها إعصار “غيلبرت” عام 1988.















